
Experimente o nosso
Geovisualizador
Types of surveys
Nearshore-beach profile surveys
Subaerial beach profile
UAV subaerial beach survey
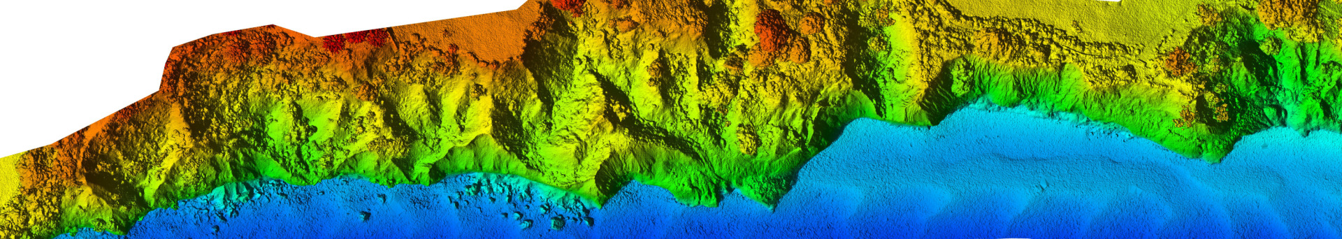
UAV rocky cliffs survey
Topo-hydrographic survey
Our numbers
These are the main indicators of the impact of COSMO2.0 on society.
798
2141
18 593
381




